Are you planning an investment? Let us plan it together!
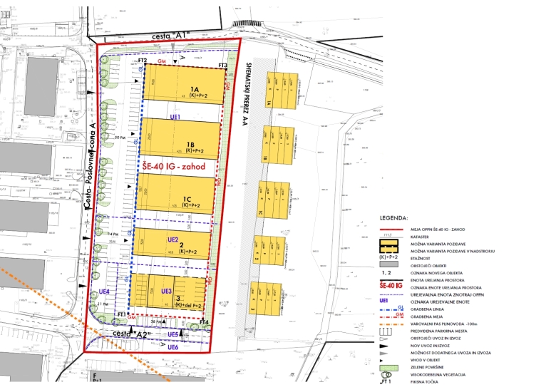
Contact usMunicipal detailed spatial plan for the ŠENČUR business park
Client: Landowners
Location: Šenčur
Project data
Area: 1,2 ha
Year of completion: 2013
Are you planning an investment? Let us plan it together!
Contact usClient: Landowners
Location: Šenčur
Area: 1,2 ha
Year of completion: 2013